
Waterford looks set to get a new Lidl store.
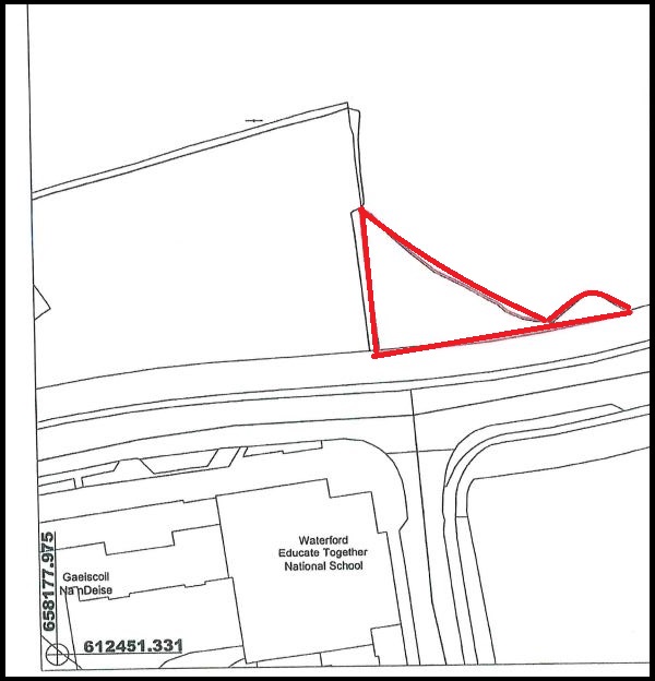
Documents presented to councillors show Waterford City and County Council has agreed to sell a 0.2 acre plot on the Carrickpherish Link Road to Lidl Ireland.
According to the council’s notice, the sale is subject to planning being granted for the development of a Lidl supermarket on the site.
The adjoining landowner had already sold 1.8 acres to the German multinational but it transpired during the course of that sale that a small sliver of land was in the ownership of the council.
They’ve now proposed disposing of that land – which is across from Waterford Educate Together – for €150,000.

As it stands, there are two Lidl stores already in Waterford City.
The council is requiring that the company arrange a pre-planning meeting with them before submitting an application for this new development.
For all your latest Waterford news and sport, click here.








